cpnha logo

Cabeza Prieta Natural History Association
Sonoran Desert Plants
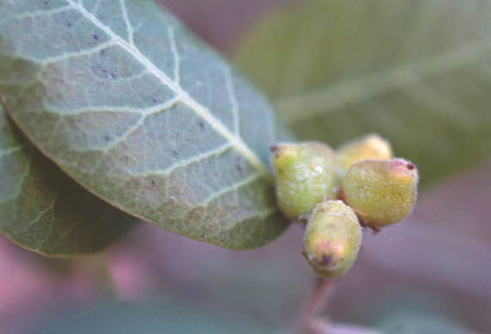
Rhus kearneyi subsp. kearneyi (Desert sumac,limita del desierto)

Coffee Pot Mountain

 

 Rhus kearneyi subsp. kearneyi

 Rhus kearneyi subsp. kearneyi

 Rhus kearneyi subsp. kearneyi

Habitat: rocky slopes
Life Form: shrub,tall
Leaf Description: alternate simple
Flower Color: greenish or green
Flowering Period: Spring
Spines: spineless
Family: Anacardiaceae (cashew family)
Abundance: locally common
Additional Information:
Felger, R.S., S. Rutman, and J. Malusa. 2014. Ajo Peak to Tinajas Altas: Flora of Southwestern Arizona: Part 8. Eudicots: Acanthaceae to Apocynaceae. Phytoneuron 2014-85, 1-71 page 46 (8.5 MB pdf)

Photo Credits:
Photo #1
Photo #2
Photo #3

Our member horticultural expert is Hank Jorgensen. For more information on this plant species, see Hank's page (opens in a new tab).

 

 

 

 

 

Copyright Creative Commons

HTML & Programing by
Thomas R. Powell

 

Natural History of the Sonoran Desert and Refuge

Geology

Climate

Plants

Animals

Astronomy

1274